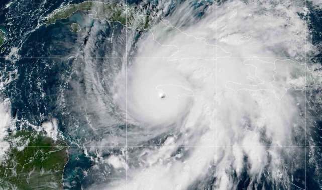
Jamaika'yı rüzgar hızı saatte 295 kilometreyi bulan 5'inci kategori olan Melissa Kasırgası vurdu.Karayipler'deki Melissa Kasırgası Jamaika'yı vurdu. Rüzgar hızı saatte 295 kilometreyi bulan kasırga, ülkenin güneybatısına ulaştı. ABD Ulusal Kasırga Merkezi (NHC), Melissa Kasırgası'nın Atlantik havzasında kayıtlara geçen en güçlü kasırgalardan biri olduğunu belirtti.Yetkililer, bazı koy ve körfezlerde dalgalarının 4 metreye kadar yükseleceği, ani sel ve heyelanlar konusunda uyarıda bulundu. Jamaika'da kasırga nedeniyle yaklaşık 240 bin hane elektriksiz kalırken, kurulan 800'den fazla sığınakta yaklaşık 6 bin kişi bulunuyor. Yetkililer, ülkeyi terk etmek isteyenler için uçuşların perşembe günü başlayacağını ifade etti. Kasırga, nedeniyle cadde ve sokaklar göle dönerken, çok sayıda binanın çatısı uçtu."Şu anda cesur olmanın zamanı değil"Jamaika Yerel Yönetim Bakanı Desmond McKenzie, halktan sığınaklara gitmeleri çağrısında bulunarak, "Şu anda cesur olmanın zamanı değil. Melissa'ya karşı bahis yapmayın, bu kazanamayacağımız bir bahis" dedi.Küba'nın doğusunda binlerce kişi tahliye ediliyorKüba'nın doğusundaki Holguin eyaletindeki yetkililer, 200 binden fazla kişiyi tahliye etmeye başladı. Küba Başbakan Yardımcısı Eduardo Martnez, "Bu kasırga çok tehlikeli. Eşi benzeri görülmemiş bir durum" dedi.Kasırganın gece saatlerinde Küba'ya yarın ise Bahamalar'a ulaşması beklenirken, kasırganın bu süreçte kategori 2 seviyesine düşeceği tahmin ediliyor.
DÜNYA
Yayınlanma: 28 Ekim 2025 - 20:53
Güncelleme: 29 Ekim 2025 - 01:49
Jamaika'yı 5'inci kategori olan Melissa Kasırgası vurdu
Jamaika'yı rüzgar hızı saatte 295 kilometreyi bulan 5'inci kategori olan Melissa Kasırgası vurdu.
DÜNYA
28 Ekim 2025 - 20:53
Güncelleme: 29 Ekim 2025 - 01:49









